Herr Curt Menges aus Wöllstein hat der Ortsgemeinde Wöllstein den nachstehenden Beitrag mit dem sehr umfangreichen Bildmaterial zur Verfügung gestellt. Dafür sagen wir herzlichen Dank und freuen uns, dass damit unserem "Bawettche" ein bleibendes Denkmal gesetzt wurde. Danke auch an alle, die Herrn Menges dabei unterstützt haben!
Unser Bawettchen

Technische Daten:
|
Kursbuchnummern |
252, 273 |
|
Streckenlänge |
14,22 km |
|
Größte Neigung |
1:50 (2%) |
|
Kleinster Kurvenradius |
180 m |
|
Eingesetzte Fahrzeuge |
T3, 56, Eta 177, Köf II |
Zeittafel:
04.05.1887 Konzessionserteilung für die Nebenbahn Sprendlingen – Wöllstein und Baubeginn
11.10.1888 Betriebseröffnung
15.11.1890 Genehmigung zur Verlängerung nach Neu-Bamberg
31.03.1897 Genehmigung zur Verlängerung nach Fürfeld
28.07.1897 Konzessionserteilung für die Nebenbahn Sprendlingen – Fürfeld
05.10.1898 Betriebseröffnung
1937 Ablauf der Konzession Sprendlingen – Wöllstein, Weiterführung auf staatliche Weisung
31.03.1947 Ablauf der Konzession Wöllstein – Fürfeld, Verlängerung bis 1952
31.12.1952 Kündigung durch die Betreibergesellschaft SEG, Übernahme durch die DB
31.03.1953 Einstellung des Personenverkehrs, Übernahme der Strecke durch das Land Rheinland- Pfalz
31.03.1958 Einstellung des Güterverkehrs Wöllstein – Fürfeld
01.01.1959 Strecke wird Anschlußbahn des nichtöffentlichen Verkehrs
01.04.1959 Stillegung Wöllstein – Fürfeld und Abbau der Gleise, Wöllstein wird Endstation
31.07.1973 Letzter Güterzug Wöllstein – Sprendlingen
31.12.1973 Stillegung der Strecke
1974 Abbau der Gleise
Entwicklung:
In einer Zeit, als es noch keinen Individualverkehr gab, mussten Gewerbetreibende ihre Produkte mit Pferdefuhrwerken transportieren und Arbeitende und Ausflügler zu Fuß gehen. Dadurch war die in angemessener Zeit erreichbare Entfernung gering oder aber eine mehrtägige Trennung vom Heimatort erforderlich. Arbeiter, die am Wohnort keine Arbeit fanden, mussten am Arbeitsort wohnen, was das Einkommen verminderte und konnten höchstens am Wochenende die Heimat besuchen, Händler mussten ihre Produkte, die am Wohnort nicht verkauft werden konnten, an den entfernten Verkaufsort begleiten, was wiederum den Ertrag verminderte. Nur mit einem tragfähigen und schnellen Transportmittel wie der Eisenbahn ließ sich die Lage verbessern und aus diesem Grund strebte auch das in seiner Bedeutung wachsende Wöllstein nach einem Bahnanschluss. Das Hessische Staatsministerium bewilligte den Bau und vergab die Konzession an die Süddeutsche Eisenbahngesellschaft SEG. Während der Fertigstellung wurde durch Neu-Bamberg, Frei-Laubersheim und Fürfeld eine Verlängerung beantragt, die ebenfalls bewilligt wurde.
Mit Normalisierung des Lebens, der Nahrungsbeschaffung und Veränderung der Verkehrsströme sank diese Zahl schnell und zum Jahresende 1952 kündigte die SEG alle Strecken wegen ihres defizitären Betriebes.
Das Land Rheinland-Pfalz übernahm die Strecke und die DB führte den Betrieb mit Akkutriebwagen aus Worms im Personenverkehr und Dampf-, später Dieselbetrieb im Güterverkehr durch, bis schon nach 4 Monaten der Personenverkehr mangels Reisender eingestellt wurde. Die Bewohner der Ortschaften, früher nach Mainz und Alzey orientiert, reisten nun vermehrt nach Bad Kreuznach. Vormals mit der Bahn bis Sprendlingen, von dort mit der Straßenbahn nach Bad Kreuznach lange unterwegs, konnte man nun mit Bussen direkt ohne Umwege in wesentlich kürzerer Zeit das Ziel erreichen.
Lediglich der Güterverkehr mit landwirtschaftlichen Produkten sowie der Schwerlastverkehr von Bruch- und Backsteinen blieb erhalten. Nachdem die Brüche westlich von Wöllstein keinen Abfuhrbedarf mehr hatten, wurde die Strecke ab Wöllstein stillgelegt und abgebaut, das Reststück wurde nur noch als Anschlussgleis eingestuft, was eine einfachere kostengünstigere Bedienung mit Rangierlokomotiven ermöglichte. Auch hier nahm das Transportaufkommen immer mehr ab, den Todesstoß für die Reststrecke setzte jedoch wie so oft der Autoverkehr. Für den Weiterbau der A 61 von Bingen nach Süden wäre eine Brücke für rund 1,2 Mio DM erforderlich gewesen, um das Gleis zu überfahren.Das Land Rheinland Pfalz bot stattdessen den beiden betroffenen Landkreisen 500.000,- DM für die Stilllegung, das Ende ist bekannt.
Die Bilder zeigen die Streckenführung von Sprendlingen ausgehend nach Fürfeld in der Zeit nach der Betriebseröffnung und als Vergleich dazu - wenn vorhanden - eine Aufnahme aus der Zeit kurz vor der Stilllegung.
Weitere Informationen können gerne bei folgender Adresse erfragt werden, ebenso freut sich der Verfasser über weiteres Material, insbesondere Bilder. C.Menges, Ringstr. 38, 55597 Wöllstein, 06703 3077009.
Mein Dank gilt meinem Klassenlehrer Lutz Ruppersberger, der mit seiner “Chronik der Nebenbahn Sprendlingen- Wöllstein-Fürfeld“ schon 1982 der Bahnlinie ein bleibendes Denkmal gesetzt hat.
Weiterführen kann ich dies nur durch die wohlwollende Mitarbeit von Zeitzeugen in den betroffenen Gemeinden durch die Überlassung der Bilder und der Erinnerungen, wie es früher einmal war…
Derzeit entsteht zur weiteren Veranschaulichung eine transportable Modellanlage des Bahnhofs Wöllstein im Zeitraum 1970 im Massstab 1:45 (Spur 0).

Ausfahrt Sprendlingen

Ausfahrt Sprendlingen 1972

Überführung Elektrisch

Überführung 1972

T3 338 in Badenheim 1918

Badenheim 1972

Bahnübergang B420

Bahnübergang B420 im Jahre 1972

T3 im Bahnhof Wöllstein

Bahnübergang Alzeyer Straße

Gleisbaurotte

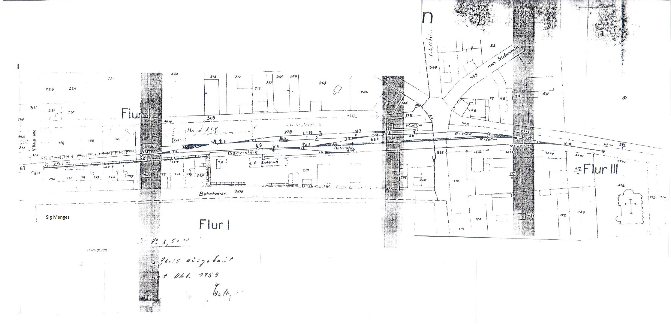
Gleisplan 1959

Ausfahrt

Eta 177

Abbauzug vor Anwesen Neubrech und St. Remigiuskirche 1959

Gleisanlage und Bahnhof Wöllstein im Jahr 1972

Gleisanlage und Bahnhof Wöllstein im Jahr 1972

Gleisanlage Wöllstein in Richtung Alzeyer Straße und heutiger Barsac-Allee im Jahre 1972

Letzte Fahrt am 31. Juli 1973




Abriss und Rückbau der Gleisanlage im Jahr 1974

T3 vor dem Wasserturm

Abbau der Gleise am Sportplatz im Jahr 1959

Wöllstein mit der Mittel- und Neumühle im Vordergrund

Bau der Appelbachbrücke im Tälchen (vor Steinbruch)

Fertiggestellte Eisenbahnbrücke über den Appelbach

Gleisanlage auf der Appelbachbrücke von oben, rechts Steinbruch, Ölmühle im Hintergrund

Steinbruch Wöllstein in Betrieb - heute Naturschutzgebiet

Gleisabbau in der Nähe des Steinbruchs

Gleisbau an der Ölmühle 1897

Gleise vor Ölmühle mit Steinbruch und Wasserturm im Hintergrund

Streckenführung von Ölmühle Richtung Neu-Bamberg mit Eisenbahnbrücke

Strecke unterhalb der Hexenkanzel

Strecke nach Neu-Bamberg (links unten heute Wanderparkplatz mit Schutzhütte)

Einschnitt vor Neu-Bamberg

Brückenbau in Neu-Bamberg im Jahr 1898

Zug auf Brücke vor Neu-Bamberg

Zug am Haltepunkt Neu-Bamberg

Bahnhof Neu-Bamberg / Frei-Laubersheim
Bahnhof Neu-Bamberg / Frei-Laubersheim im Jahre 1972

Bahnstrecke Neu-Bamberg nach Frei-Laubersheim

Haltepunkt Frei-Laubersheim

Bahnhof Fürfeld

Bahnhof Fürfeld 1972

Bahnhof Fürfeld 1972
Die Ortsgemeinde Wöllstein bedankt sich ganz herzlich bei Herrn Menges, der den vorstehenden Text und die Bilder hiermit allen Freunden unseres Bawettchens zur Verfügung stellt: Herzlichen Dank!